開啟輔助訪問
 找回密碼
 立即加入

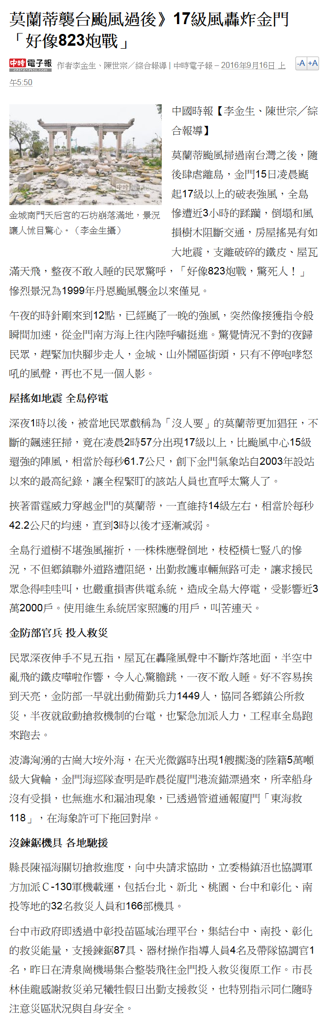
1614 莫蘭蒂 眼牆橫掃南台灣 21世紀次強颱風 突破多項紀錄

簽到天數: 3294 天

[LV.Master]伴壇終老

t02436|2016-9-15 21:21 | 顯示全部樓層
莫蘭蒂傳奇的一生在晚間八點報畫下句點。
熱帯低気圧
平成28年09月15日22時05分 発表

<15日21時の実況>
大きさ        -
強さ        -
熱帯低気圧
存在地域        華南
中心位置        北緯 27度00分(27.0度)
東経 117度00分(117.0度)
進行方向、速さ        北 20km/h(10kt)
中心気圧        1002hPa

JMA_1614_0915_12Z.png

rbtop-animated.gif

點評

維基和颱風資料庫怎麼沒更新,風速資料金門第一名上面都寫艾利  發表於 2016-11-5 15:53
嗯嗯 我稍微記錯了  發表於 2016-9-16 20:13
恆春原先第一名是1991.07艾美,不是傑魯得  發表於 2016-9-16 16:18
至於金門地區則是確定破了平均風和陣風紀錄  發表於 2016-9-16 09:57
所以恆春破了傑魯得颱風的陣風幾紀錄而屏東沿海則是平了或者破了陣風紀錄至於小琉球也可能是平了或者破了陣風紀錄  發表於 2016-9-16 09:56
至於東吉島也有十七級以上的陣風而金門一樣也是十七級以上的陣風紀錄  發表於 2016-9-16 09:55
小琉球則是十七級以上陣風的陣風至於高雄小港地區也有十五級陣風而高雄市區則有十三到十四級的陣風  發表於 2016-9-16 09:53
目前已知恆春十六級陣風另外東港到枋寮一帶也有十五到十六級陣風  發表於 2016-9-16 09:50
莫蘭蒂颱風讓南部地區的風迷真正等到了期待已久的客觀風力表現  發表於 2016-9-16 09:49
我也覺得他被除名的機率很高  發表於 2016-9-16 02:32
回復

使用道具 舉報

簽到天數: 458 天

[LV.9]以壇為家II

ha093405|2016-9-16 11:56 | 顯示全部樓層
本帖最後由 ha093405 於 2016-9-16 12:04 編輯

莫蘭蒂颱風襲擊金門報導。


火狐截圖_2016-09-16T03-48-33.953Z.png

點評

對於南部的風迷來說這次的風力和其他整體表現應該都非常值得了  發表於 2016-9-16 21:19
回復

使用道具 舉報

簽到天數: 582 天

[LV.9]以壇為家II

蜜露|2016-9-16 22:45 | 顯示全部樓層
本帖最後由 蜜露 於 2016-9-17 20:03 編輯


今年的颱風比較特別 , 影響罕見的地方開路.
從尼伯特的台東 , 到莫蘭蒂的屏東 、金門、廈門、晉江和祥安


20160916000726.jpg


b03a00_p_01_01.jpg


bg.jpg


20160914006929.jpg
mobile01-f1b409c464f358f454bf56acadd23f04.jpg



點評

2004年電影“明天過後”的導演羅蘭·艾默里奇早就預告會有這樣的氣象災難了。  發表於 2016-9-17 19:48
2013年海燕、去年的蘇迪勒造成全省大風災、今年七月尼柏特摧毀台東市,到現在莫蘭蒂...氣象學者曾警告,全球暖化會有更強風暴產生,難道已應驗?  發表於 2016-9-17 09:19
回復

使用道具 舉報

簽到天數: 588 天

[LV.9]以壇為家II

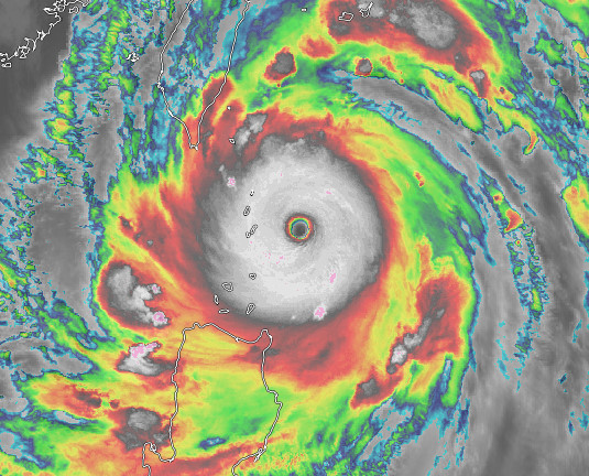
Meow|2016-9-17 04:03 | 顯示全部樓層
Terra截取9月14日位處台灣海峽的颱風莫蘭蒂。

Meranti 2016-09-14 0245Z.jpg
https://commons.wikimedia.org/wi ... 016-09-14_0245Z.jpg

點評

史上唯一過境台灣進入台灣海峽,還維持強颱等級的颱風,看起來既美麗又可怕~  發表於 2016-9-17 09:12
回復

使用道具 舉報

簽到天數: 582 天

[LV.9]以壇為家II

蜜露|2016-9-17 19:35 | 顯示全部樓層
本帖最後由 蜜露 於 2016-9-17 21:31 編輯

這次的莫蘭蒂颱風 , 同樣也重創廈門 、泉州

連客機都被颱風吹跑損毀.

廈門和翔安. 持續風都曾吹到40m/s之上
陣風達到61m/s

57db603b8b753.jpg


bkncn-20160915124826459-0915_05011_001_09b.jpg



bkncn-20160915124826459-0915_05011_001_05b.jpg


bkncn-20160915124826459-0915_05011_001_11b.jpg


bkncn-20160915124826459-0915_05011_001_12b.jpg
in0915b3.jpg


20160916032843241.jpg

W020160917345795202298.jpg



點評

寶特瓶倒插在車前玻璃那張也太驚悚了吧...那時候人如果在車裡不被嚇死才怪0.0  發表於 2016-9-18 18:07
這種強度和路徑,不這樣都難  詳情 回復 發表於 2016-9-18 08:42
回復

使用道具 舉報

簽到天數: 11 天

[LV.3]偶爾看看II

Meranti|2016-9-18 08:42 | 顯示全部樓層
蜜露 發表於 2016-9-17 19:35
這次的莫蘭蒂颱風 , 同樣也重創廈門 、泉州

連客機都被颱風吹跑損毀.

這種強度和路徑,不這樣都難

點評

字數少於20字,請善用點評唷!!!  發表於 2016-9-20 11:12
字數過少,請善用點評。  發表於 2016-9-18 09:12
回復

使用道具 舉報

簽到天數: 582 天

[LV.9]以壇為家II

蜜露|2016-9-18 10:53 | 顯示全部樓層
本帖最後由 蜜露 於 2018-3-31 16:31 編輯

莫蘭蒂的巔峰圖

21世紀第三個 8.0  
(算上Patricia , 應該算第四個 8.0)


20160913.1150.himawari-8.ir.16W.MERANTI.160kts.898mb.20.2N.124.2E.100pc.jpg


20160913.1050.himawari-8.ircolor.16W.MERANTI.160kts.898mb.20.2N.124.2E.100pc.jpg


20160913.1200.himawari8.x.wv1km.16WMERANTI.160kts-896mb-205N-1227E.100pc.jpg

bandicam 2018-03-31 16-30-34-746.jpg
bandicam 2016-09-15 12-53-32-944.jpg


bandicam 2018-03-31 16-29-11-038.jpg


bandicam 2018-03-31 16-29-01-738.jpg

莫蘭蒂真正巔峰是在夜晚 . VIS圖有限制
Vapor的圖,整點時間圖是正常的.
也是個深藍眼  眼溫+23.5 (尼伯特是+23.8)

2016年兩個風王. 或許能挑戰2014年三巨頭.


回復

使用道具 舉報

簽到天數: 582 天

[LV.9]以壇為家II

蜜露|2016-9-18 15:06 | 顯示全部樓層
本帖最後由 蜜露 於 2016-9-18 15:29 編輯

莫蘭蒂的RAMMB  Himawari-8 近巔峰

full_disk_ahi_true_color_20160913073000.jpg

bandicam 2016-09-18 15-18-36-253.jpg


假設兩個颱風放在一旁 , 莫蘭蒂算是個中型颱風. 瑞伯是大型颱風.
如果Itbayat島那個883hPa是真的.  那就是真的很變態的最強颱風之一了.

1978年的颱風麗塔(Rita) 的天氣圖是顯示中型颱風.  23日的海平面氣壓錄到了882hPa . 而25日更錄到了878hPa的飛機所探測.

不管是麗塔還南施. 或許都在我們21世紀的身邊吧!

(名嘴節目不要看.說什麼艾爾西77公尺. 這個60公尺之類.. 拿1分鐘持續風和10分鐘持續風來比)

點評

我也說名嘴拿它跟艾爾西比,噗哧一下  發表於 2016-9-30 12:29
明年的颱風年鑑,莫蘭蒂巔峰165kts有可能往前再補兩報,直到掠過伊巴雅特島測到最低海平面氣壓為止。  發表於 2016-9-19 06:01
恩. 莫蘭蒂是13和14日  發表於 2016-9-18 23:13
1978莉泰顛峰期很長,23日882百帕,25日竟還有878百帕  發表於 2016-9-18 21:16
回復

使用道具 舉報

快速回覆
您需要登錄後才可以回帖 登錄 | 立即加入

本版積分規則

本平台僅供學術討論之用,預報應以氣象局為準

威普網站虛擬主機贊助公司

臺灣第一個天氣類型社群平台 即時天氣資訊、精準颱風動態

線上客服
FB傳送訊息
廣告行銷
精準行銷 物超所值
官方粉專
發佈 快速回復 返回頂部 返回列表