開啟輔助訪問
 找回密碼
 立即加入

1614 莫蘭蒂 眼牆橫掃南台灣 21世紀次強颱風 突破多項紀錄

簽到天數: 1 天

[LV.1]初來乍到

蘇迪勒@FB|2016-9-13 10:39 來自手機 | 顯示全部樓層
各報方向位置整理

23:30    19.1N  127.4E
05:30.   19.4N  126.1E.   +0.3N -1.3E 西北西
08:30.   19.6N. 125.5E.   +0.2N -0.6E 西北西
10:15.   19.7N. 125.1E.   +0.1N -0.4E 西北西



回復

使用道具 舉報

簽到天數: 10 天

[LV.3]偶爾看看II

郭炘杰@FB|2016-9-13 10:45 | 顯示全部樓層
流出要接上了
AMSU給到173 883
尼伯特按照著分析會更高
wgmswvir.GIF
回復

使用道具 舉報

簽到天數: 1990 天

[LV.Master]伴壇終老

ben811018|2016-9-13 10:55 | 顯示全部樓層
up50_2016091300.png

高壓依然強勢

rb-animated.gif vis-animated.gif

莫蘭蒂穩定朝西北西進行,速度也不慢

回復

使用道具 舉報

該用戶從未簽到

asd1234669|2016-9-13 11:05 | 顯示全部樓層

希望(來襲)這兩字我看到啥 天氣不能控制   至少我都祈待他是小颱風 祈求不要來台 我來這看是祈待他轉向轉小  這裡的人確大部分都是希望來台破記錄越大越好 大部分的人含蓄 我特別回你是你提倡這觀念不好 真的不好 就算你真這樣想不要說出來  畢竟會死人的不要這樣講人命比較大

點評

颱風不會因為在這邊的討論而改變它的方向與強度,如果你不喜歡看這樣的字眼,大可以用黑名單或逛其他論壇的方式避免掉您不喜歡的語氣或字眼  發表於 2016-9-13 13:39
這次颱風又大潮我能想像頻東高雄台南養殖戶又要破產很多人了 家父年輕做過養殖業 一年投資的努力一年收一次錢 他不是公司上班每個月領錢管他刮風下雨 本錢有的一年辛苦枉費明年還可重來 沒本的借錢的土地拍賣 房屋  詳情 回復 發表於 2016-9-13 11:27
說真的啦~~~颱風要不要來也不是我們網路講一講就會如何走的~~~假如有來就做好防颱~沒來就最好  發表於 2016-9-13 11:26
另外 1.沒人逼你來看 2.言論自由,當然後果自負 3.期待 4.標點符號  發表於 2016-9-13 11:17
至於有部分語句讓您覺得是他們希望颱風越強越好,個人覺得可以不用太在意,說到底天氣現象不會因為人們怎麼想就有所改變,就給他們去說吧  發表於 2016-9-13 11:17
老實說,這個論壇的各位只是單純喜歡大氣現象,但是偏偏颱風很容易造成災害。字裡行間不希望碰到本島;不希望造成災害不是都是看的到的東西嗎?  發表於 2016-9-13 11:16
很多人是來這裡看颱風動向的,畢竟能預先有所防備可以把損失減到最低  發表於 2016-9-13 11:14
回復

使用道具 舉報

簽到天數: 815 天

[LV.10]以壇為家III

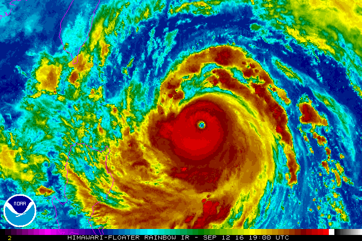
martin191919|2016-9-13 11:08 | 顯示全部樓層
小弟首次來台灣升學,目前在國立中央唸大氣系
來了一個禮拜就來了颱風....

目前看莫蘭蒂颱風的外貌就是超漂亮
同時也差不多越過北緯20度線
s3q-2016-09-13-10-30.jpg

回復

使用道具 舉報

簽到天數: 969 天

[LV.10]以壇為家III

kbty245|2016-9-13 11:11 | 顯示全部樓層
自從2010年過後,西北太平洋這種155+級別的颱風真的有明顯增加的趨勢

2000  丹瑞
2002  法西
2004  電母、佳芭
2006  西馬隆(這隻不給155說不過去)
2009  妮妲
2010  梅姬
----------------------------
2012  三巴
2013  利奇馬、海燕
2014  黃蜂、鸚鵡、哈格比
2015  蘇迪勒
2016  尼伯特、莫蘭蒂

10年以前大概2~3年才會有155級別的颱風

10年後機會每年都會至少有一個


氣候或許真的改變了

以前臺灣連吃到140kts級別的都很難了,現在卻一年

可以吃個二次155級別,一個從小康家庭晉升成爆發戶

的概念

點評

法西是2001年的颱風,不是2002年的。  發表於 2016-9-13 13:31
以前也有過. 1987-1992  發表於 2016-9-13 11:36
回復

使用道具 舉報

該用戶從未簽到

asd1234669|2016-9-13 11:27 | 顯示全部樓層
asd1234669 發表於 2016-9-13 11:05
希望(來襲)這兩字我看到啥 天氣不能控制   至少我都祈待他是小颱風 祈求不要來台 我來這看是祈待他轉向轉 ...

這次颱風又大潮我能想像頻東高雄台南養殖戶又要破產很多人了 家父年輕做過養殖業 一年投資的努力一年收一次錢  他不是公司上班每個月領錢管他刮風下雨 本錢有的一年辛苦枉費明年還可重來 沒本的借錢的土地拍賣 房屋拍賣 錢莊押人  每次大颱風為何都有死亡就是擔心損失太嚴重擔當不起  誰願意刮風下雨去巡視  這還只是其中一個行業 請以慈悲心看待 就算你期待強風豪雨 不要提倡 我相信集氣的觀念 所以我發文

點評

我了解您的心情~別理那些期待的人~他沒有親身體驗~那種害怕吃不好~睡不飽的心情~身家都靠天吃飯的感覺~  發表於 2016-9-13 12:00
回復

使用道具 舉報

簽到天數: 1 天

[LV.1]初來乍到

蘇迪勒@FB|2016-9-13 11:28 來自手機 | 顯示全部樓層
各報方向位置整理

23:30    19.1N  127.4E
02:00    19.3N  126.7E    +0.2N -0.7E 西北西
05:30    19.4N  126.1E    +0.1N -0.0E 北
08:30    19.6N  125.5E    +0.2N -0.6E 西北西
09:15    19.6N  125.3E    +0.0N -0.2E 西
10:15    19.7N  125.1E    +0.1N -0.2E 西北西
11:30    19.9N  124.9E    +0.2N -0.2E 西北


B20.gif

點評

很快又走回西北西老路,登陸機會已趨渺茫  發表於 2016-9-13 13:18
不好意思,2:00-5:30這段是北嗎? 不是+0.1N -0.6E ? (126.7-126.1=0.6)  發表於 2016-9-13 12:21
歷史過去的颱風路徑可以參考1999年的瑪姬颱風以及幾年前侵襲台灣的帕布颱風  發表於 2016-9-13 11:47
颱風在靠近鵝鑾鼻到屏東西南方陸地的時候會有往北偏移一段路程的情形  發表於 2016-9-13 11:46
一小段走西北應該屬於短期波動 越接近台灣 受到中央山脈的影響 出現搖擺的路徑也會越明顯!  發表於 2016-9-13 11:34
回復

使用道具 舉報

快速回覆
您需要登錄後才可以回帖 登錄 | 立即加入

本版積分規則

本平台僅供學術討論之用,預報應以氣象局為準

威普網站虛擬主機贊助公司

臺灣第一個天氣類型社群平台 即時天氣資訊、精準颱風動態

線上客服
FB傳送訊息
廣告行銷
精準行銷 物超所值
官方粉專
發佈 快速回復 返回頂部 返回列表